CARREGANDO...

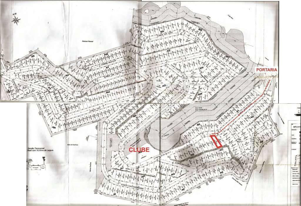
Cond Res. Vale Verde - LOTE 510 m² Próximo portaria e clube PROJ. APROVADO

Vendido
Aceita financiamento

Sobre o imóvel

Cond Reserva Vale Verde - LOTE 510 m² - Próximo portaria e clube. PROJETO APROVADO!

  • Endereço do imóvel: Alameda Lírios do Vale, s/n (Quadra AC / Lote 10) - Cond. Reserva Vale Verde (Bairro postal: Residencial dos Lagos) - Cotia, SP - CEP: 06705-640
  • (Endereço do condomínio:enbsp;Rua Américo Floriano de Tolêdo, 803, Jd. Caiapiá, Cotia/SP - CEP 06705-230)
  • AT: 510,13 m² (frente: 11,13 / laterais: 43,00 m )
  • Valor de Venda: R$ 220.000,00 (duzentos e vinte mil reais)enbsp;já com comissão de 6% (seis por cento)
  • Valor do condomínio: R$ 550,00 (Mar/24)
  • Valor do IPTU (2024): R$ 503,40 ano à vista ou 11 x de R$ 50,85
  • Permuta: NÃO ESTUDA
  • Documentação: 100% ok
  • Financiamento Bancário: permite
  • Placas de imobiliárias: Não permite
  • Estado de Conservação: limpo
  • Ano da construção original: -

enbsp;

Descrição do imóvel

  • Lindo lote, próximo da portaria e do clube do condomínio.
  • Lote limpo, em aclive.
  • Moderno PROJETO APROVADO junto à Prefeitura e Condomínio, com todas as taxas já pagas (será fornecido ao comprador).


Obs: Informações fornecidas e aprovadas pelo proprietário. Sujeitas a alteração sem aviso prévio.

  • Aceita financiamento.
Comprar R$ 220.000,00 Condomínio R$ 550,00
Agende uma visita
Imóveis similares

Solicite mais informações sobre o imóvel

Fale comigo no whatsapp
WhatsApp